How To Get Rid Of Scale On Plants
We may receive a commission on purchases made from links.
Because they're so tiny, scale insects often go unnoticed unless they've brought along hundreds of their closest friends, at which point they may cause minor damage to trees, shrubs, crop plants, and even houseplants. So, how exactly do you know that you even have an infestation of these tiny bugs? One sign is when the leaves on several of your favorite plants yellow or drop prematurely while the same plant varieties thrive in another part of your yard or garden. Another clue you may have scale insects are bumps that appear all over your plant stems — which are are actually loads of scales clustered together.
These small bugs affect numerous types of plants, and the insects themselves come in thousands of varieties. In many cases, they won't kill the infected plant, but their presence could cause sooty mold or attract other pests, such as ants. Manually removing scale insects is often enough to treat a minor infestation on an indoor or outdoor plant, while horticultural oil, ladybugs, and parasitic wasps offer solutions for treating multiple plants outdoors.
What Do Scale Insects Look Like?
What Do Scale Insects Look Like?
- Species name: Coccoidea
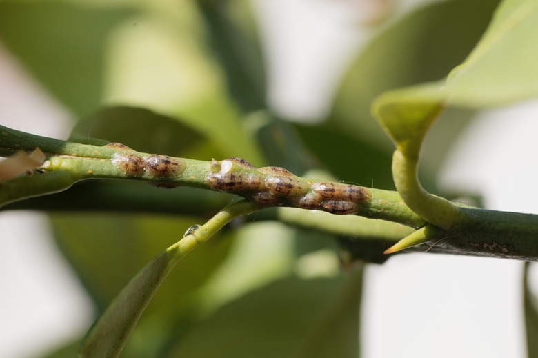
- Physical characteristics: Ranges from 1/16 to 1/4 inch, and outer covering looks a bit like a domed fish scale. Color varies greatly, typically from whites to brown, black, yellowish, or reddish. Some have multiple colors and look a bit like tortoise shells. Scales are generally ovoid, but some are elongated like grains of rice.
- Wings or wingless? Adult males have wings; nymphs and females do not.
- Color/species varieties: Soft scale and armored scale are the most common of numerous scale varieties. Soft scales have a waxy and soft permanent covering, while armored scales have a harder shell-like covering that is removable by force. Armored scales are generally smaller and less obvious due to their size.
- Life cycle and appearance: Eggs are tiny white specks visible with magnification when looking beneath the mother scale insect. They hatch into nymphs, also called crawlers. These are often white, pink, or yellow and move around on the affected plant. Eventually, they feed on the host plant and develop their adult features. Adult scale insects have a waxy-looking shell or covering and generally stay in one place, although some can move.
How to Get Rid of Scale Insects
How to Get Rid of Scale Insects
Getting rid of scale insects is best done manually or with plant-safe soapy or oily treatments rather than with chemicals that cannot penetrate their moi43erdz3esture-resistant bodies. Beneficial bugs that are natural predators of scale insects, such as lacewings and ladybugs, are an excellent choice as well. For minor infestations that don't seem to be doing much harm to your plants, leaving the insects alone is another option as long as you inspect the affected plant and its neighbors from week to week to assess their health. Any soap- or oil-based treatment works even better when the insects are in the crawler stage, so for best results, time your application for this phase.
Timing for the Crawler Phase
Once you've spotted adult scale insects on a plant, there's a good chance of finding crawlers soon, especially in spring and early summer. Place a piece of paper beneath affected foliage and tap that branch; any specks that show up on the paper are most likely crawlers. If you don't notice any crawlers yet, wrap pieces of double-sided tape around affected stems or branches, creating a tab that sticks out 1/2 inch or so from the plant. Check the tape in a day or so, looking for small specks stuck in the adhesive. For best results, apply the tape above the adult scales, as the crawlers generally move upward toward the light.
Remove Scale Insects Manually
If only one or two plants are affected by scale, manually removing these pests is one option that requires no special treatments, although this is best done for potted plants that are small enough that you can inspect each stem. Brush off the pests with an old toothbrush dipped in soapy water or rubbing alcohol. If possible, catch the falling scale on some strips of wide packing tape or a sheet of paper and then discard the pests in an old airtight bag, placing it in the trash. Discarding them this way helps prevent reinfestation.
Gently wash off areas affected by scale or honeydew using a mild, soapy solution. This also helps remove the scale insects. Removing honeydew also helps keep the plant from developing sooty mold or attracting ants, flies, or wasps. If a relatively small area of the plant is affected by scale or honeydew, pruning away the problem area is another option. Wipe the garden shear blades with rubbing alcohol before and after pruning to help prevent spreading scale or plant diseases. Discard the pruned matter in a plastic bag in the trash instead of in a compost heap.
Bring on the Predatory Insects
Beneficial predatory insects take care of the scale problem on your behalf with no chemicals required. Parasitic wasp species, such as coccophagus and aphytis, lay eggs inside or on the scale, and when the wasp eggs hatch, the larvae feed on the scale, killing it. In the larval stage, green lacewings, also known as aphid lions, eat scale, aphids, caterpillars, and numerous other pests. Ladybug species, such as chilocorus and hyperaspis, also eat scale insects, aphids, and other plant pests. Though predatory insects are often available for purchase to introduce to your garden, it's best to attract them naturally so you don't disturb your local ecosystem.
Apply Insecticidal Soap
Insecticidal soap is an effective scale treatment for both garden plants and houseplants, but for it to work properly, it must be sprayed directly on the insects. These soap products, typically sold in concentrated form, are similar to dish detergent but without added surfactants, fragrances, and other substances that might harm plants. Mix the insecticidal soap with water in a sprayer for outdoor use or in a spray bottle for houseplants. Spray the solution over all areas where you've noticed the scale. Killing all the bugs may require several applications, which will be spaced out as indicated on the product label.
Insecticidal soaps are generally safe for the environment and won't harm birds or wildlife when used properly. These products are also safe for most plants. Relatively few plants are sensitive to soaps but avoid using it on sensitive species, such as gardenias (Gardenia jasminoides) and Japanese maple trees (Acer palmatum).
Use Horticultural Oil
Many chemical-based insecticidal sprays are ineffective against scale insects because the chemicals can't penetrate their outer coating. Instead, use a horticultural oil spray, which effectively suffocates the problematic pests. Before buying any horticultural oil product, make sure it is appropriate for the affected plant and that it treats scale insect infestations. Horticultural oils are effective on both indoor and outdoor plants.
Apply the spray to every area of each plant, including the stems and the underside of the leaves, closely following the product label's instructions to ensure proper application and application time. The goal is to cover the scale insects directly. It may take more than one attempt to eradicate all the scale. Horticultural oil also kills aphids, scale crawlers, and spider mites and isn't as harmful to beneficial insects as toxic chemical-based insecticides. When it comes to scale, horticultural oil and other treatments are most effective on scale that are still in the crawler stage, as the creatures haven't yet developed a protective covering.
Quarantine the Plant
If you have a number of houseplants but only one seems to have scale insects, quarantining or isolating that plant is one way to help control the problem. Keep the plant in a room well away from the others, such as a room on another floor. For best results, pick away or otherwise remove as many scale insects as possible to keep their population under control. In a worst-case scenario, such as a plant that's extremely infested, it may be better to just take the plant outside or seal it in a bag and discard it. Sealing it in a plastic bag keeps the scale from eventually spreading to other plants outdoors.
Where Scale Insects Come From
Where Scale Insects Come From
Scale insects live on a vast array of houseplants, hitching a ride indoors by living on the host plant before you even brought it home. Once inside, scale may spread from one plant to another nearby; you may not even realize any of them are there unless you find a plethora of these pests. Whether purchasing houseplants or plants for your garden, inspect each carefully to ensure there are no scales. Check the underside of leaves as well since scale insects thriving on the underside may otherwise go undetected.
Outside, scale insects come from other affected plants and not always from plants of the same type. Thousands of varieties of scale insects affect just as many plant species, so if you find any on your plants indoors or out, it's a good idea to check dissimilar nearby plants as well.
Signs of Scale Insect Damage
Signs of Scale Insect Damage
Scale insect damage isn't a major issue for many plants. In some cases, even a large infestation causes little harm to the plant. The first sign of infestation is often a large quantity of bumplike shapes on plant leaves or stems. These may even seem to be part of the host plant since they rarely move. In other cases, noticeable damage includes yellowing or brown leaves, unusually slow plant growth, or a saplike residue called honeydew, which attracts ants, flies, and wasps. Soft scale insects produce the honeydew, while armored scale insects do not. Honeydew may also cause a form of mold on the affected plant.
Armored scale insects sometimes inject a toxin into the leaves of the host plant, causing a circular discoloration. This may result in the affected leaves falling off. Armored scale is more common on outdoor plants than houseplants. If you've spotted scale insects and aren't sure if they're the soft or armored variety, take the tip of a pocketknife and pry the edge of one insect from the plant. If it's an armored scale, its outer shell will pop off, and the rest of the bug remains.
Finding scale on a plant doesn't necessarily mean there's a current infestation. If the bugs fall off easily when you run a fingernail over them, they're dead and are no longer a threat. If they leave behind a smudgy residue, they're still alive.
References
- University of Wisconsin-Madison Division of Extension: Scale Insects
- Landscape Management: How to Recognize and Manage Scale Insects
- University of Florida IFAS Extension: A Guide to Scale Insect Identification
- Terminix: How to Identify Types of Scale Insects
- University of Maryland Extension: Scale Insects on Indoor Plants
- LSU College of Agriculture: How to Deal With Scale Insects
- Iowa State University Extension and Outreach: Scale Insects
- Clemson Cooperative Extension: Insecticidal Soaps for Garden Pest Control
- Texas A&M AgriLife Extension: Scale Insects on Ornamental Plants

