What To Use To Kill Yellow Jackets Bees In The Ground

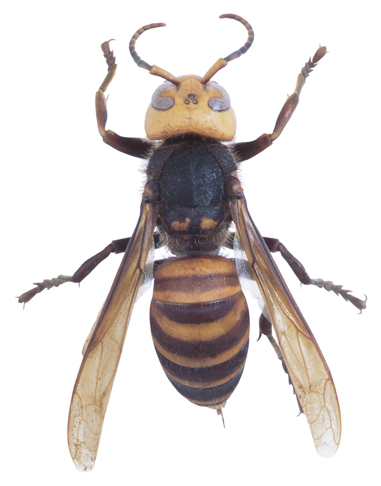
Yellow jackets are a type of wasp with a slender body, narrow waist and potent sting. Unlike honey bees who appear to have a furry texture, yellow jackets have shiny smooth skin. Yellow jackets can become particularly aggressive in the fall when they begin collecting carbohydrates and sweets to store for winter. If there is a yellow jacket nest near your home, you will likely need to destroy the nest to avoid being stung.

How to Identify a Yellow Jacket Nest

How to Identify a Yellow Jacket Nest

The way to exterminate a wasp nest depends on the type of wasp you're trying to kill. Yellow jackets build their nests out of chewed wood fibers mixed with saliva. A yellow jacket nest can be distinguished from other wasp nests based on its paper-like appearance.

Where to Find Nests

Where to Find Nests

Yellow jackets typically build their nests in trees, shrubs and underground in rodent holes and cavities dug by small animals. Underground nests can be the most difficult to control, since they aren't visible or easy to access.

The Best Time to Kill Yellow Jackets

The Best Time to Kill Yellow Jackets

The best time of the year to kill yellow jackets is in June while the colony is still small. If you wait until later in the summer, the colony will be bigger and harder to exterminate. Exterminating at night is the safest time; yellow jackets are largely inactive during the evening hours.

Environmentally Friendly Solutions to Use

Environmentally Friendly Solutions to Use

The easiest and most environmentally safe way to destroy a yellow jacket nest is to use soap. A solution of liquid laundry or dish soap and water is an effective and chemical free way to destroy a nest. Simply pour the mixture into the ground where the nest is located.

Chemical Options

Chemical Options

If the soapy solution doesn't work, there are several other options for killing yellow jackets. Insecticides such as carbaryl, bendiocarb, chlorpyrifos, and acephate can be used for more difficult to kill insects. These insecticides, available in liquid and dust forms, are poured or "puffed" into the nest.

Recommended